こんにちは

 

今日は8年ぶりにダイビングされるお客様をお連れして

 

マンツーマンでの~んびり潜ってきましたよ~

 

 

ビーチエントリー!!

 

見てくださいこの透明度とキラキラ感!!

 

とってもきれい!!

 

 

まずはハマクマノミを観察

 

じーーーーーーっと見ていると

 

ちょっと顔出して「まだいるのかよ!」と可愛らしいこの表情

 

 

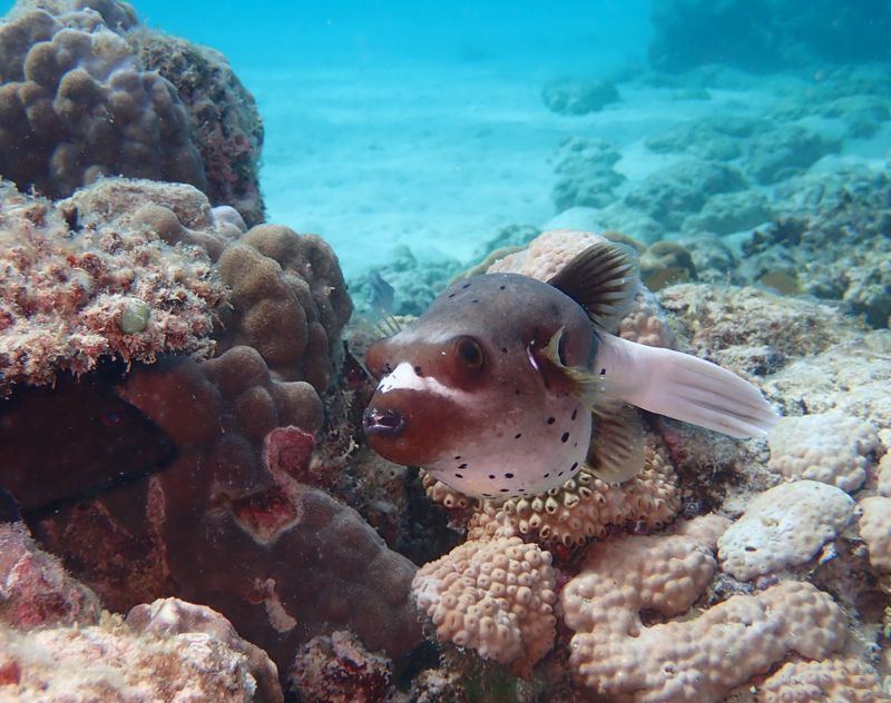
ポッコリおなかのコクテンフグ

 

犬みたいな顔をしたとってもかわいい子!!

 

 

サンゴの上でぼ―――っとしているイシガキカエルウオ

 

ポカ~~ンと口を開けてるこの表情もかわいいね!!

 

明日も良い出会いがありますように

 

『奄美群島eしまギフト』

https://amami-tabisaki.jp/

奄美大島にふるさと納税をして電子ギフトをゲット!

ダイビング代を電子ギフトで支払いできますよ(^^)v

 

 

★ゴープロ11レンタルスタート!1日/2,200円

★TG5,TG6、TG7 レンタル1日/2,200円

 

★ネバーランド古田直基24日更新中

ガイド会【世界の海ブログ】もご覧ください。

今回のテーマは・・・「星屑ロンリネス

 

ネバーランドオンラインショップにてグッズ販売中

 

★本日の奄美大島

 

天気  晴れ

最高気温…23℃ 

最低気温…15℃ 

海中水温…20℃

透明度 …20メートル

オススメスーツ… ドライorロクハン